釣果情報
FISHING REPORT
釣果情報
検索結果 3493-3504件表示中/4,950件中
-
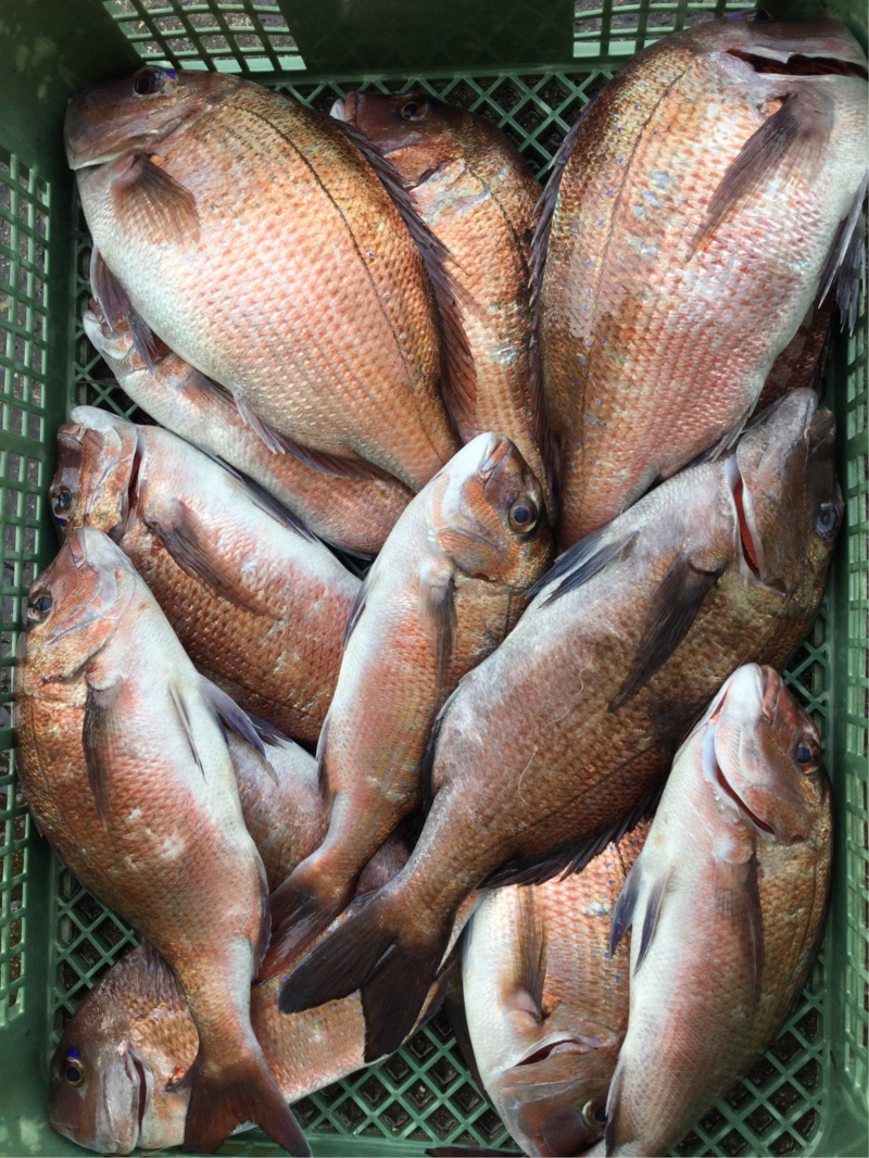
2019-01-16
三重県贄浦へ磯ふかせ/磯カワハギ
今年初釣は三重県の和丸渡船さんにお世話になりま...
続きはこちら -
2019-01-16
【串本】磯釣りチャレンジ!小川渡船さんがオススメ
久々に磯釣りがしたくて串本の小川渡船さんにお世...
続きはこちら -
2019-01-15
【鳥羽】山洋丸さんで青物ジギング!
こんにちは!! 連日寒い日が続きますね~ 今は...
続きはこちら -
2019-01-15
【鳴門市】鯛サビキ│仕掛けはアシスト工房の鯛サビキ仕掛け
淡路島と通り過ぎ大鳴門橋を渡ってすぐから出船!つ...
続きはこちら -
2019-01-15
【姫路市】冬のショウサイフグ釣り│30オーバーGET
今季初釣りに人気船 神孝丸さん冬のショウサイフグ...
続きはこちら -
2019-01-12
串本で船五目釣り!良形のグレGET!
1月12日土曜日、和歌山県串本のほうまで五目釣りを...
続きはこちら -
2019-01-12
【和歌山】南海マリーナでアジング│MAX38cmのアジGET
南海マリーナから出るモンスターラッシュさんにお...
続きはこちら -
2019-01-11
【淡路島じゃのひれ海上釣り堀】ウキ釣りで鯛を14匹
水温が下がり釣り堀と言えども厳しい時期に差し掛...
続きはこちら -
2019-01-06
神戸沖でガシラを釣る!マナティ38で一人10以上の釣果!
今年最初の釣りはヤザワ渡船さんにお世話になり、...
続きはこちら -
2018-12-31
山口県 姫島沖で泳がせ釣り│胴付仕掛でカサゴとメバルGET
2018年最後の釣りは、大晦日に実家に帰省した傍ら...
続きはこちら -
2018-12-30
【京都】宇治川で厳寒期のタナゴ釣り
厳寒期にタナゴが釣れるか調査を兼ねて今年ラスト...
続きはこちら -
2018-12-29
【和歌山県串本】日帰りでアジング・ジギング・ノマセ釣り!
日帰り串本釣行!! 4時頃に串本に到着してから、ノ...
続きはこちら