兵庫県明石海峡利弥丸の船釣りでマダイ釣果
FISHING REPORT
釣果詳細
No.2262
兵庫県明石海峡利弥丸の船釣りでマダイ釣果
更新日:2020.12.28
- 釣行日
- 2020-12-28~12-28
- 場所
- 兵庫県明石海峡周辺
- 釣種
- タイラバ
- 魚種
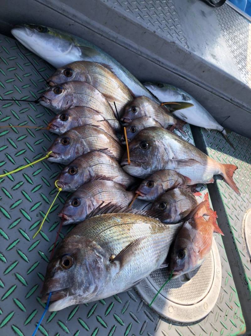
- マダイ
- サイズ
- 25~32cm
- 釣果
- 2枚
- 天候
- 雨のち晴れ
- 店舗
- フィッシングエイト大阪南
- 釣り人
- エイト大阪南 森村
記事・概要
皆さんこんにちは!
先日明石の利弥丸さんでタイラバ釣り納めに行って来ました。
事前情報では、冬の明石の風物詩になっている【海苔パターン】が始まっているとのことでした。海苔棚から流れつく切れた海苔を食べているため、ネクタイの選択がとても重要になってきます。
早速、垂水沖からスタートしますが青物の猛追に遭いハマチをゲットしましたが、本命真鯛は口を使わず淡路島側へ大移動します。
ポイントに着くと船団になっていてタイサビキ船やタイラバ船がひしめき合っていました。
30mほどの浅場だったのでスピニングタックルで斜め引きを試すとアタリがでました!冬のタイラバはとにかくバレやすいので慎重に上げてくると30cmちょいのサイズをなんとかゲット!
その後手乗りサイズのリリースサイズを追加しましたが、なかなか後が続かず明石海峡大橋の付近まで移動すると底を中心に反応があったので丁寧に探ると小さいサイズでしたが追加できました。 そこでは他の同船のお客さんも数人キャッチされていました。
海苔パターンでは特にネクタイの色やシルエットで釣果に大きく差が出ます。
私のオススメは【マジカルワーム】や【桜幻シリーズ】です。
浮遊している海苔をイメージして色はコーラやグリパン、ブラックなどがオススメですよ!
難しいイメージがある冬のタイラバですが、パターンがハマると連発もあり得る時期です。
大阪南店ではタイラバコーナーも充実していますし、不明な点があれば何なりとご相談ください。
- アクセス
- 阪神高速 神戸線 若宮インター降りて垂水方面へ車で20分 集合場所:垂水漁港
- 問合せ先
- おおくぼ船長:090-4282-4828


