イガイでチヌ!
FISHING REPORT
釣果詳細
No.1617
イガイでチヌ!
更新日:2019.05.27
- 釣行日
- 2019-05-27
- 場所
- 兵庫県尼崎
- 釣種
- 波釣り
- 魚種
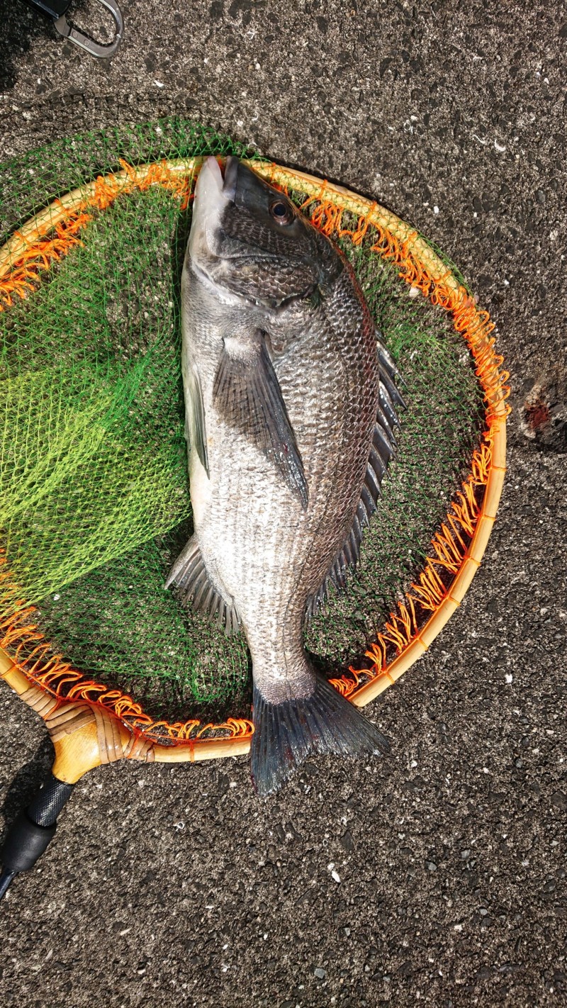
- チヌ
- サイズ
- 43~50cm
- 釣果
- 8匹
- 天候
- 晴れ
- 店舗
- フィッシングエイト3
- 釣り人
- 石田
記事・概要
シーズン突入のチヌ落とし込みに、また懲りずに行って来ました。
今回は、ヘチ竿メインでの釣行。
餌はイガイの一枚掛けとイガイ団子。
前回とは違い、かなり渋い感じで当たりがあっても掛けれなかったり、掛けても針外れの連発で一匹をキャッチするまでに一苦労しました。
一匹キャッチしてからは、喰わせの間がなんとなくわかり、少ないアタリを確実にキャッチできるように。
今回は、アタリ→即合わせよりも、アタリ→送り込む→魚が走る→フッキングみたいな感じでした。
今回はヘチタックル特有のダイレクトに手に伝わるアタリを楽しみながら、豪快な引きも味わい43~50cm程までのチヌを8匹キャッチすることができました。
潮次第で釣果が大きく変わるので、懲りずにドンドン行こうと思います。
是非、皆様もチャレンジしてみてください。
- アクセス
- 兵庫県尼崎市武庫川町4-83
- 問合せ先
- 久保渡船
06-6416-0807


